物件データ
| 物件名 | 14125 美濃加茂市本郷町5丁目 | 価格 | 1,250万円(税込) |
|---|---|---|---|
| 所在地 |
美濃加茂市本郷町5丁目39番1 大きな地図で見る ※大きな地図ではストリートビューでズレが生じる場合がございます。 |
||
| 交通 |
JR高山本線美濃太田駅 徒歩約22分 |
||
| 物件番号 | No-14125 | ||
| 地目 |
田 |
最適用地 |
店舗 店舗付き住宅 事務所営業所 アパート |
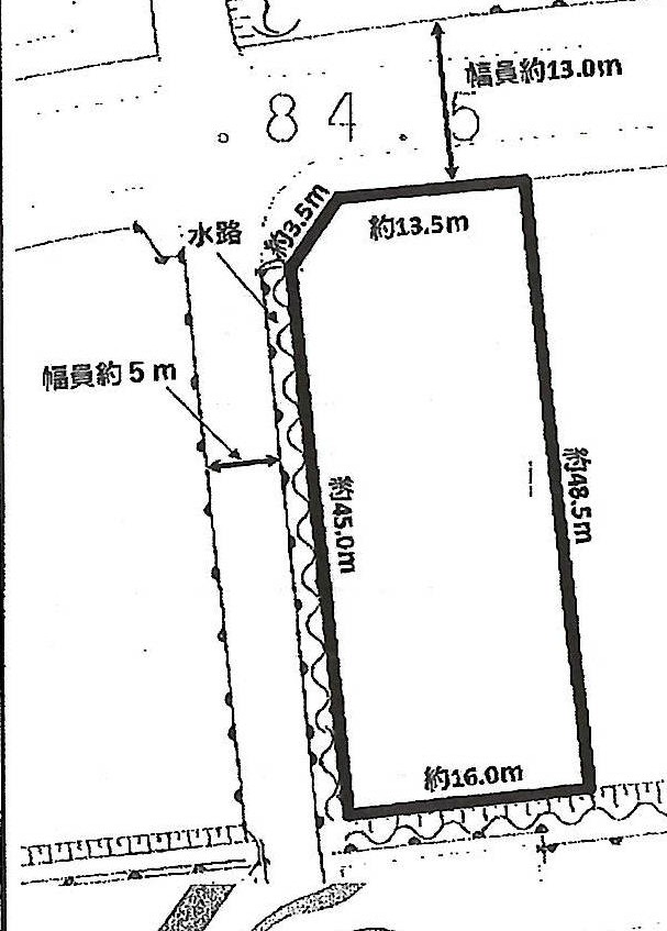
| 土地面積 | 800m2(242坪) | 建ぺい率 | 60% |
| 容積率 | 200% | ||
| 法令制限等 |
農地法 農振除外 |
現状 |
更地 |
| 取引形態 | 仲介 | 引渡し | 相談 |
| 用途地域 |
無指定 |
設備 | - |
| 引渡条件 | - | ||
| 接道状況 |
北側 約13mの道路に約13.5m接する |
||
| 小学校 |
古井小 ※学校区について詳細は各市町村に確認して下さい |
中学校 |
東中 ※学校区について詳細は各市町村に確認して下さい |
| 備考 | 宅地造成及び特定盛土等規制法区域内 上下水道引き込み要す 敷地内に農水管あり 北側歩道との高低差は70~80cm程度 |
||
ローンシミュレーション
- ネット銀行の場合
- 物件価格1,250万円(税込)
- 毎月ローン支払い額(概算)
- 37,734円/月
- 概算諸経費を含んだ金額を基に計算し、
- 利率0.83% 35年返済にした場合
- 地元銀行の場合
- 物件価格1,250万円(税込)
- 毎月ローン支払い額(概算)
- 38,050円/月
- 概算諸経費を含んだ金額を基に計算し、
- 利率0.88% 35年返済にした場合
当物件に関するお問い合わせ
不動産売買に関するご質問、お問い合わせはお電話、店舗へのご来店、もしくはお問い合わせフォームよりご連絡ください。
※物件名、物件番号のメモをお願いします。
-
- 電話によるお問い合わせ
-
- 0120-666-269
- お電話受付時間:9:00〜18:00(水曜定休)
-
- 店舗へのご来店
- アクセスマップを見る
-
- この物件について問い合わせる
- お問い合わせフォームへ